現地コラム
COLUMN

石垣島ボートシュノーケル完全ガイド|幻の島・青の洞窟など人気ツアーで絶景を満喫!
みなさんこんにちは!
石垣島最大級のアクティビティショップ
『石垣島 ADVENTURE PiPi』です!
本記事では、ビーチからのシュノーケリングとの違いや魅力、幻の島や青の洞窟といった人気スポット、そして初心者でも安心して楽しむためのポイントを徹底解説します。
最後にはおすすめのシュノーケリングツアー5選もご紹介しますので、ぜひ参考にしてください!
目次
石垣島で行う
ボートシュノーケルとは?

ボートシュノーケルとはボートに乗って沖合のポイントまで移動し、海に入って行うシュノーケリングのことです。
ボートで移動するため、ビーチからは行けない透明度の高いスポットへもアクセス可能です。
非日常の海の世界を気軽に体験できる、石垣島ならではのおすすめマリンアクティビティです!
ビーチシュノーケルとの違い

一方、ビーチシュノーケルはビーチから直接エントリーして浅瀬で楽しむスタイルです。
しかしビーチエントリーでは、遠浅の場所や潮の干満によってはサンゴ礁まで距離があり、見られるエリアが限られてしまうことも。
その点ボートシュノーケルなら、船でしか行けない透明度抜群のスポットまで短時間でアクセスでき、美しいサンゴ礁や熱帯魚の群れを間近で楽しむことができます。
石垣島で行う
ボートシュノーケルの魅力

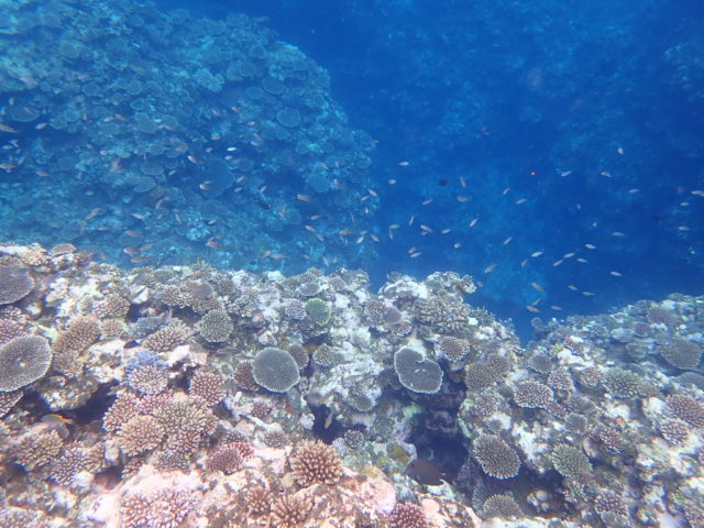
石垣島の海は沖縄の中でもトップクラスの透明度を誇り、一年を通して色鮮やかなサンゴ礁と熱帯魚に出会えるのが魅力です。
これから石垣島のボートシュノーケルの魅力をいくつかご紹介していきます!
陸からではいけないスポットへ

石垣島のボートシュノーケルでは、陸からは決して行けない秘境のようなスポットを訪れることができます。
人が少ない手つかずの海は透明度が高く、サンゴ礁や熱帯魚が生き生きとした姿を見せてくれます。
非日常の絶景と豊かな海の生態系を、特別な場所で体感できるのが最大の魅力です。
複数のポイントへ

複数のポイントを巡れるのも大きな魅力です。
スポットごとにサンゴ礁の形や熱帯魚の種類が異なり、訪れるたびに新しい発見があります。
透明度の高いエメラルドブルーの海から、カラフルな魚が群れるポイントまで、まるで海の世界を冒険しているような気分です。
ボートでの移動も楽しめる

石垣島のボートシュノーケルは、移動中のボートから眺める絶景も大きな魅力です。
エメラルドグリーンの海と点在する小島が広がる風景は、まるでクルージングを楽しんでいるかのようです。
爽やかな潮風や波の揺れが心地よく、移動そのものが特別な体験になります。
シュノーケリングだけでなく、石垣島の美しい海を五感で感じられる贅沢な時間です。
石垣島で行う
ボートシュノーケルツアーの
持ち物・服装

最後に、ボートシュノーケルに参加する際の準備や注意事項を確認しておきましょう。
天候や海況により中止や変更となる場合もあるため、事前に最新情報を確認しておくと安心です。
持ち物

石垣島のボートシュノーケルツアーでは、タオルや日焼け止め、着替えは必須です。
スマホやカメラを持参する場合は、防水ケースがあると安心です。
船酔いが心配な方は、酔い止め薬を事前に用意しておくと快適に楽しめます。
服装

水着はあらかじめ着用し、タオルや着替えを用意してください。
サンダルや、日差し対策にラッシュガードやTシャツの着用もおすすめです。
度付きマスクの用意があるショップもあるので、視力が気になる方は事前に相談してみましょう!
石垣島で行う
ボートシュノーケルツアーの
注意点

サンゴ礁保護のため、日焼け止めは海に優しい成分のものを選ぶか、できるだけラッシュガード等で肌を覆ってください。
海中では絶対にサンゴに手や足で触れたり踏んだりしないようにしましょう。
防水カメラやスマホ用防水ケースがあれば持参すると自分でも撮影を楽しめますが、当日の状況によっては操作に集中しすぎず、安全第一で行動しましょう。
安全に注意しつつ、石垣島の海ならではの絶景と出会いを思い切り楽しんでください!
ボートで行ける石垣島の
おすすめ
シュノーケリングスポット

石垣島周辺にはボートでアクセスできる魅力的なシュノーケリングスポットが数多く存在します。
その中でも特に人気の高い代表的なポイントをいくつかご紹介します!
幻の島(浜島)

「幻の島」は石垣島から船で約30分の場所に現れる砂洲で、正式名称を「浜島」といいます。
潮が引いたときにだけ姿を現し、満潮時には海面下に沈んでしまうことからその名で呼ばれるようになりました。
周辺海域は国内最大の珊瑚礁「石西礁湖」の一角であり、カラフルな熱帯魚や元気なサンゴに出会えます。
青の洞窟

石垣島の北部にある海食洞窟で、洞窟の中に太陽光が差し込むと海底の白砂に反射して青白く輝き、幻想的な光景が広がります。
石垣島の青の洞窟は比較的入りやすく、干潮・満潮問わずシュノーケリングを楽しめる点が特徴です。
運が良ければ洞窟周辺の海域でウミガメに出会えることもあります!
青く輝く海中世界を間近で体感できる青の洞窟は、ボートシュノーケルでぜひ訪れておきたいスポットの一つです。
マンタポイント
(石崎マンタスクランブル)

石垣島でマンタに会いたいなら、川平湾の沖合「石崎マンタスクランブル」と呼ばれるポイントが有名です。
ダイビングスポットとして世界的に知られていますが、透明度や条件が良い日はシュノーケリングでも水面からマンタの優雅な泳ぎを観察できることがあります。
特に夏から初秋にかけてはマンタの遭遇率が高まり、ボートシュノーケルツアーでも「マンタシュノーケリング」を目玉にしたプランが催行されます。
巨大なマンタが頭上を舞う姿は感動的で、一生の思い出になること間違いなし!
シュノーケリングツアー
おすすめ5選

これから石垣島のおすすめのシュノーケリングツアーをご紹介します。
色とりどりの熱帯魚や美しいサンゴ礁が広がる海中世界を、気軽に体験できます。
絶景と感動が詰まった、特別なひとときをぜひお楽しみください!
①幻の島上陸&シュノーケリング

石垣島発の定番シュノーケリングツアーです。ボートで幻の島に上陸し、周辺の浅瀬で熱帯魚とサンゴの海を楽しめます。
所要約3時間と半日で気軽に参加できるため、到着日の午後や最終日の午前など隙間時間にも組み込みやすいのが魅力。
石垣島の海の美しさを短時間でぎゅっと味わいたい方にピッタリのプランです!
②青の洞窟シュノーケリング
&洞窟探検

北部エリアにある青の洞窟を舞台にしたシュノーケリングツアーです。
洞窟内の神秘的な景観を探検しつつ、周辺の海で熱帯魚やサンゴを観察できます。
約2時間と短めの所要時間なので、午前か午後の空いた時間で手軽に参加可能です。
運が良ければウミガメに会えるチャンスも!
③幻の島上陸&シュノーケリング
&川平湾SUP/カヌー

石垣島を代表する2大スポット、幻の島と川平湾を一日で両方楽しめる欲張りツアーです。
午前中に幻の島上陸とシュノーケルを体験し、午後はミシュラングリーンガイド三つ星の絶景・川平湾でSUPまたはカヌーに挑戦します。
海と川(マングローブ)のアクティビティを一度に味わえるため、石垣島の自然をとことん満喫したい方に最適。
④幻の島上陸&シュノーケリング
&竹富島観光

幻の島でのマリンアクティビティと、八重山諸島屈指の人気観光地・竹富島での島内観光をセットにした盛りだくさんツアーです。
午前中に幻の島上陸&シュノーケリングで海の絶景を楽しんだ後、午後から高速船で竹富島へ移動します。
竹富島では赤瓦の伝統家屋が並ぶ集落でゆったり観光し、水牛車に揺られながら昔ながらの沖縄の風景を堪能できます。
シュノーケルと離島観光を一日で効率よく体験できるため、石垣島滞在が短い方にもおすすめ!
⑤青の洞窟×幻の島シュノーケリング

石垣島で人気の2大シュノーケリングスポット、青の洞窟と幻の島を一日で制覇できる贅沢プランです。
午前・午後に分けてそれぞれの海域でシュノーケリングを行い、洞窟探検と無人島上陸の両方を体験できます。
各スポットで異なる雰囲気と海の景色を楽しめるため、「とにかくシュノーケリング三昧したい!」という方にぴったりです。
石垣島の海を知り尽くした熟練ガイドがご案内する安心のプランで、充実の一日を過ごせます。
さいごに
石垣島のボートシュノーケルは、世界有数の美しい海を満喫できる最高のアクティビティです。
初心者からベテランまで、誰もが感動する体験が待っています。
ぜひ本記事を参考に、自分にぴったりのツアーで石垣島の海中世界を堪能してください。
南国の陽射しと海風を感じながら、カラフルな魚たちや珊瑚礁との出会いを思い切り楽しみましょう!